
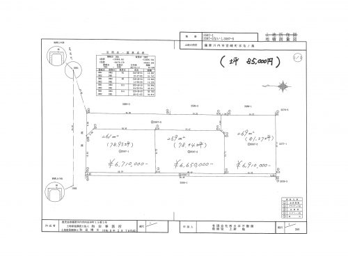
- 価格691万円
- 種別売地
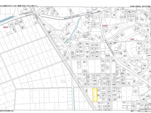
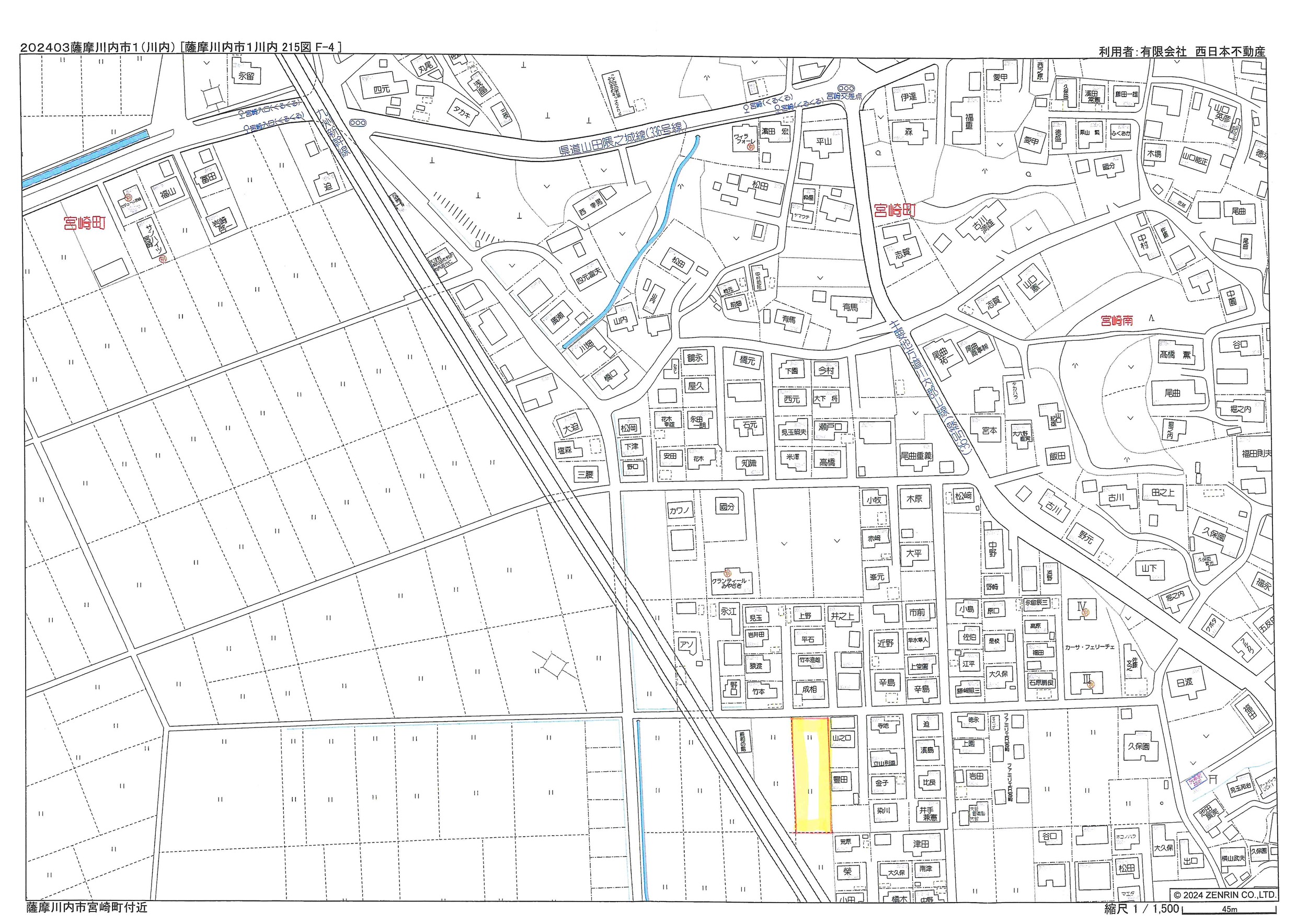
- 所在地
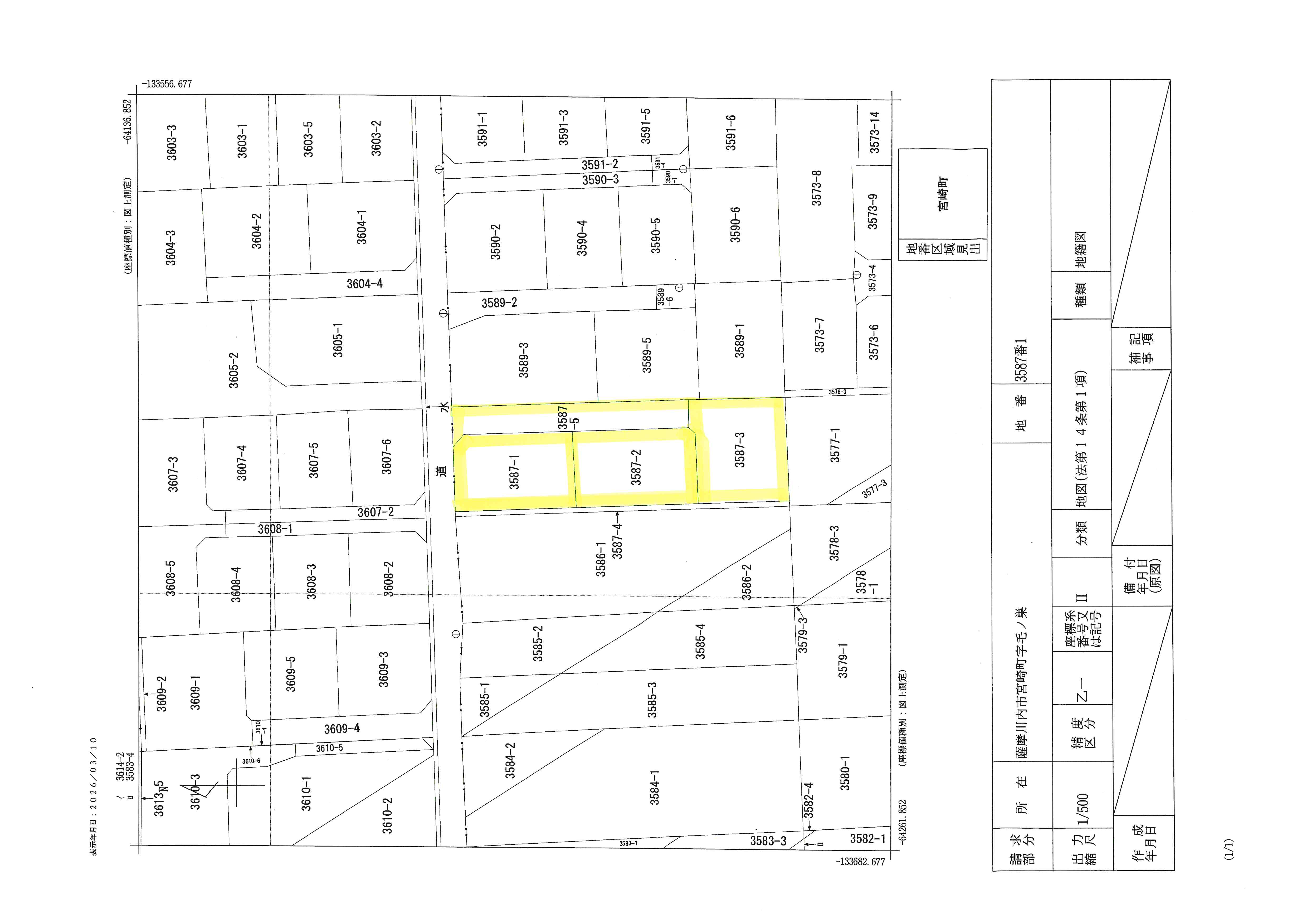
- 鹿児島県薩摩川内市宮崎町字毛ノ巣
物件詳細
| 土地面積 | 269㎡(81.37坪) | 地目 | 宅地 |
|---|---|---|---|
| 接道状況 | 校区 | 隈之城小学校 川内南中学校 | |
| 状況 | 土地権利 | 所有権 | |
| 都市計画 | 非線引き区域 | 用途地域 | 無指定 |
| 建ぺい率 | 70% | 容積率 | 400% |
| 引渡条件 | 取引態様 | 売主 | |
| 備考 | |||
| 情報更新日 | 2026年3月27日 | 次回更新日 | |
※物件掲載内容と現況に相違がある場合は現況を優先と致します。
Contact
お問い合わせはこちらからお寄せください
お電話からのお問い合わせは365日24時間受付中!
お電話からのご予約・お問い合わせ
TEL0996-27-1200
営業時間10:00~17:00
定休日 土日祝
WEBからのご予約・お問い合わせ










